조황관리HOME / 조황관리 / 상세정보

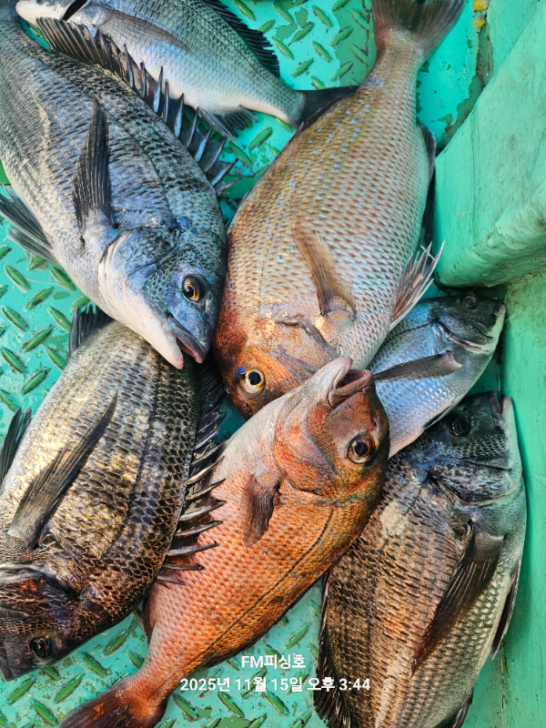
제목 : (거제:FM 피싱호:감성돔흘림)~내일도 정상출조합니다 ㅡ예약가능합니다
등록일 : 2025-11-19



같이할 조사님들 전화주세요 
 정상출조합니다 
 여러분을 초대합니다 
ㅡ출항  ㅡ05:00

ㅡㅡㅡㅡㅡㅡㅡㅡㅡㅡ
ㅡ공지합니다ㅡㅡ
    ㅡ종일낚시 
       ㆍ선비ㅡ11만원 
       ㆍ시간~출항 ᆢ05:00시 전ㆍ후 
                    철수 ~14:00시 전ㆍ후 
ㆍㆍ밑밥.미끼.간식.식사.음료..생수 기타등등
       ●(FM피싱호)손님들께 죄송한 마음을 올림니다.
   ㆍ간간히 펑크낸 조사님들이 계셔서 예약은
                어쩔수없이
      선 입금후 예약을 잡도록 하겠습니다 
      너그러운 마음으로 양해바랍니다.

      
      
 




=== 거제도 에프엠피싱호 예약안내 ===


예약문의 : 010-4998-5333

오시는길 : 거제시 둔덕면 술역리789-8(방파제 중간에 배타는곳이 있습니다)

홈페이지 : http://fm.sunsang24.com/


모바일.gif 

Top